
Foto de archivo muestra a oficiales aduaneros inspeccionando unos troncos importados en el puerto de Zhongshan, en la ciudad de Zhongshan, provincia meridional china de Guangdong. (Xinhua)
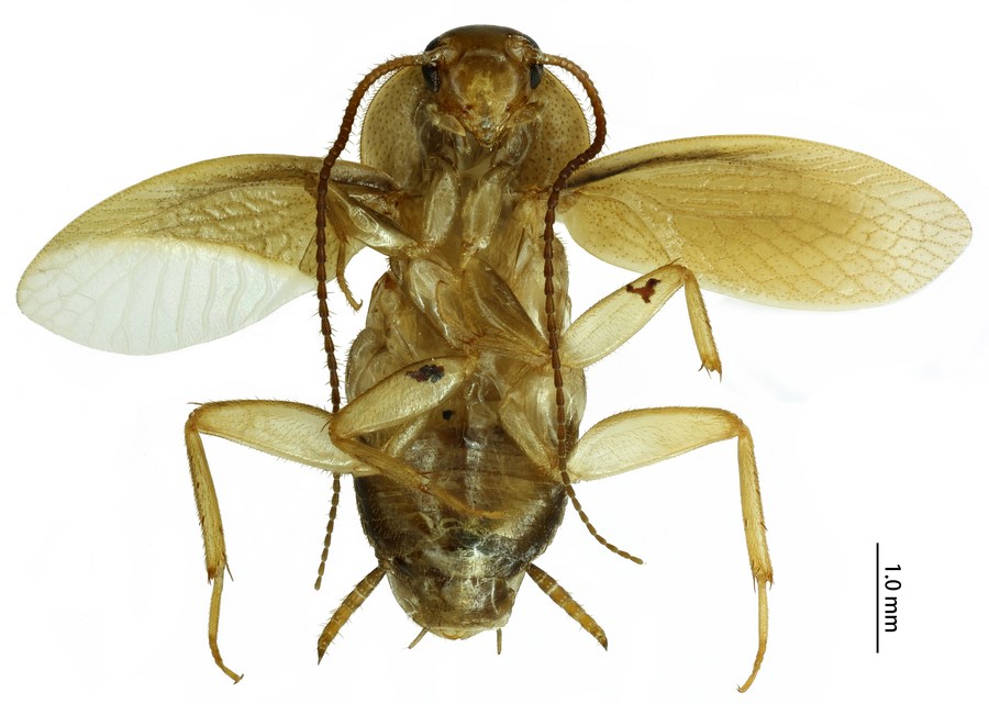
GUANGZHOU, 15 nov (Xinhua) -- Los funcionarios de las aduanas en la provincia de Guangdong, en el sur de China, informaron que una cucaracha que había sido hallada en un envío de troncos desde Sudamérica ha resultado ser una nueva especie.
Al examinar los troncos importados desde Guayana Francesa en mayo del año pasado se encontró un insecto parecido a una cucaracha, según la oficina de aduanas del puerto de Zhongshan, en la ciudad del mismo nombre.
A través del ADN y la identificación morfológica, los funcionarios determinaron que el insecto no coincidía con ningún registro existente de cucarachas. Investigaciones posteriores confirmaron que era una especie previamente indocumentada del género Latindia.

Esta foto sin fecha muestra la cucaracha que ha resultado ser una nueva especie del género Latindia. (Xinhua)
Los resultados de la investigación han sido publicados en el Chinese Journal of Vector Biology and Control.
Las cucarachas se encuentran entre los vectores bajo monitoreo cercano por las aduanas. Son altamente adaptables y fecundas, y pueden amenazar el entorno ecológico y la salud pública del país de destino. ■
